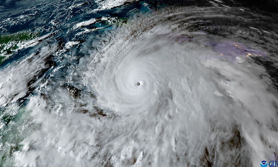
Ο υπερτυφώνας Melissa πλησιάζει με σφοδρότητα την Τζαμάικα, έχοντας ήδη ξεπεράσει σε ένταση τον Κατρίνα του 2005.
Με ανέμους που φτάνουν τα 290 χλμ/ώρα και ατμοσφαιρική πίεση στα 896 millibars – την έκτη χαμηλότερη που έχει καταγραφεί ποτέ στον Ατλαντικό – ο Melissa κατατάσσεται ανάμεσα στους ισχυρότερους τυφώνες της ιστορίας.
Το Εθνικό Κέντρο Τυφώνων των ΗΠΑ προειδοποιεί ότι ο τυφώνας, κατηγορίας 5, θα πλήξει τις νότιες ακτές της Τζαμάικα το απόγευμα της Τρίτης, με σφοδρούς ανέμους και κύματα ύψους έως και 4 μέτρα.
Η ζώνη εισβολής υπολογίζεται ανάμεσα στο Black River και το Treasure Beach, 60 με 70 μίλια δυτικά του Κίνγκστον.
Live εικόνα
Οι αρχές κάλεσαν τους κατοίκους να αποθηκεύσουν νερό, να καθαρίσουν τα φρεάτια και να καταφύγουν σε καταφύγια, όμως η ανταπόκριση παραμένει περιορισμένη.
Ο υπουργός Τοπικής Αυτοδιοίκησης, Ντέσμοντ ΜακΚένζι, εξέφρασε ανησυχία για τον μικρό αριθμό των εκκενώσεων, εκτιμώντας ότι περίπου 50.000 άνθρωποι θα χρειαστεί να μετακινηθούν.
Ο υπουργός Υγείας, Κρίστοφερ Τάφτον, επιβεβαίωσε τρεις θανάτους και 13 τραυματισμούς που σχετίζονται με τις προετοιμασίες για την καταιγίδα, ενώ στην Αϊτή αναφέρθηκαν τουλάχιστον τρία ακόμη θύματα.
Ο πρωθυπουργός της Τζαμάικα, Άντριου Χόλνες, μίλησε για «καταστροφικά» ενδεχόμενα: στέγες που θα παρασυρθούν, πλημμυρισμένους δρόμους και σοβαρές ζημιές στις υποδομές. «Καμία υποδομή στην περιοχή δεν μπορεί να αντέξει έναν τυφώνα κατηγορίας 5», προειδοποίησε.
Η προειδοποίηση του Κέντρου Τυφώνων είναι σαφής: «Παραμείνετε στα καταφύγια. Αναμένονται καταρρακτώδεις βροχές, κατολισθήσεις, καταστροφικοί άνεμοι και διακοπές ρεύματος. Ολική κατάρρευση κτιρίων είναι πιθανή κοντά στο επίκεντρο του Melissa. Η αποτυχία λήψης μέτρων μπορεί να οδηγήσει σε σοβαρό τραυματισμό ή απώλεια ζωής».
Περιοχές όπως το Μάντεβιλ, το Μοντέγκο Μπέι, το Νέγκριλ, το Black River και το Alligator Pond αναμένεται να δεχθούν τα ισχυρότερα πλήγματα.
Η Λιάν Άρτσερ, ερευνήτρια στο Πανεπιστήμιο του Μπρίστολ, χαρακτήρισε τον Melissa «ίσως τον πιο καταστροφικό τυφώνα που έχει πλήξει ποτέ την Τζαμάικα», επισημαίνοντας ότι «τα νησιά που ευθύνονται λιγότερο για την κλιματική κρίση υφίστανται τις βαρύτερες συνέπειες».

Στα ορεινά τμήματα αναμένονται έως και 1.000 χιλιοστά βροχής, με υψηλό κίνδυνο κατολισθήσεων και πλημμυρών.
Οι παράκτιες περιοχές του νότου βρίσκονται στο επίκεντρο της απειλής, ενώ μετά τη διέλευση του ματιού του τυφώνα τα κύματα θα στραφούν προς τις βόρειες ακτές.
Ο Melissa θα διασχίσει το νησί σε διάστημα περίπου έξι ωρών. Στον πυρήνα της, οι άνεμοι θα ξεριζώνουν δέντρα, θα καταστρέφουν στύλους ηλεκτροδότησης και θα εκτοξεύουν συντρίμμια.
Το μάτι του τυφώνα, διαμέτρου 10 μιλίων, θα φέρει προσωρινή νηνεμία – μια σύντομη παύση πριν το δεύτερο κύμα θυμού της καταιγίδας.
Μετά την Τζαμάικα, ο Melissa αναμένεται να κινηθεί προς την Κούβα, φθάνοντας εκεί ως τυφώνας κατηγορίας 3.
Ακολούθως, το φαινόμενο θα πλήξει το κεντρικό και νοτιοανατολικό τμήμα των Μπαχαμών, πριν κινηθεί βορειοανατολικά προς τον Ατλαντικό.
Οι μετεωρολόγοι εκτιμούν ότι ο Melissa θα προσεγγίσει τις Βερμούδες την Παρασκευή, ενώ η υγρασία της θα ενισχύσει καταιγίδες που αναμένονται στις ανατολικές Ηνωμένες Πολιτείες από τη Μασαχουσέτη έως τη Νέα Υόρκη.
Αν και προβλέπεται η αποδυνάμωσή της μέσα στο Σαββατοκύριακο, ο τυφώνας Melissa καταγράφεται ήδη ως μία από τις ισχυρότερες και πιο μακρόβιες καταιγίδες του Ατλαντικού των τελευταίων δεκαετιών, σε μια περίοδο όπου τα ακραία καιρικά φαινόμενα εντείνονται λόγω της υπερθέρμανσης των ωκεανών.
Πηγή: Washington Post






























